Italiano
English
4.500 €

AMPIO LOCALE COMMERCIALE VIA NOTARBARTOLO

Negozio in affitto • Palermo (Notarbartolo) - via Emanuele Notarbartolo
Se stai cercando un locale commerciale di prestigio in una delle zone più dinamiche della città, questo è l'annuncio che fa per te.
Situato su Via Emanuele Notarbartolo, questo immobile offre due ampie vetrine su strada, ideali per attirare l'attenzione dei passanti e garantire massima visibilità alla tua attività.
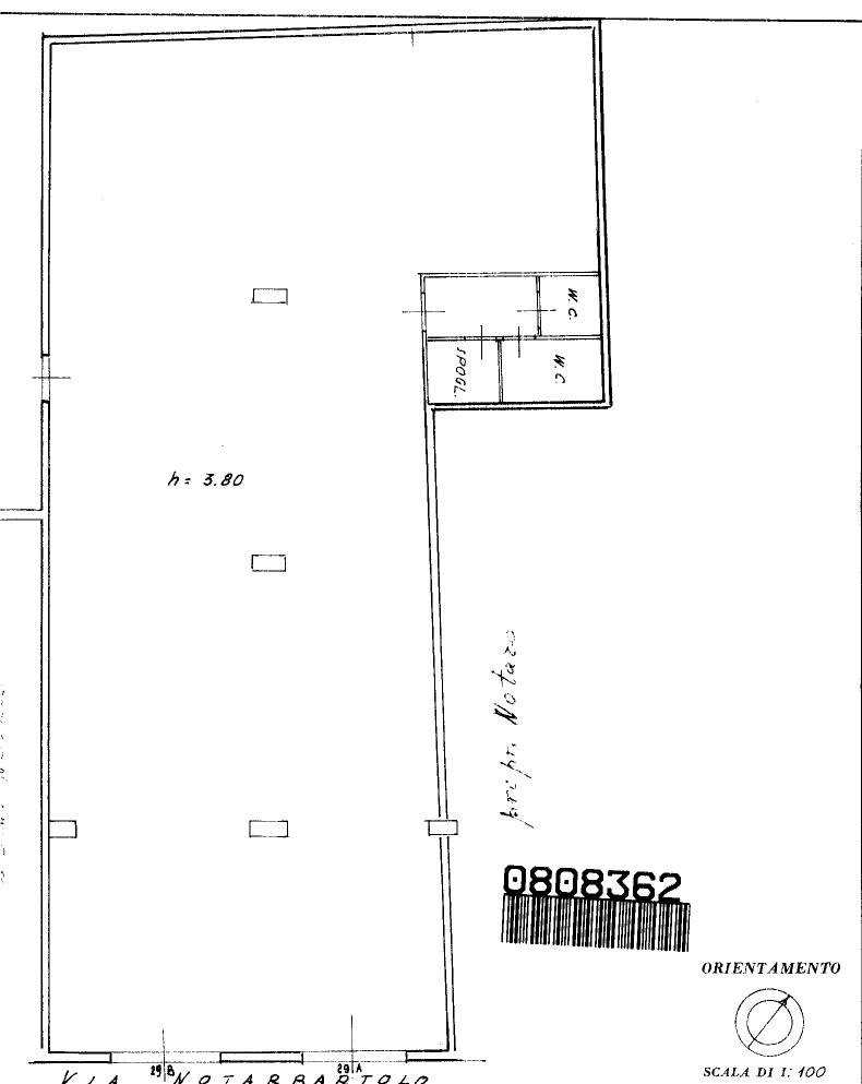
Con una superficie totale di 250 m² commerciali, il locale è suddiviso in un unico grande ambiente, perfetto per ospitare uffici, studi professionali o qualsiasi altra attività commerciale. La zona open a prospetto è ideale per un'area reception o showroom, mentre il retro offre spazio sufficiente per magazzino o ulteriori uffici.

Il locale è situato al piano terra di un edificio con servizio di portineria e portiere, garantendo sicurezza e un'accoglienza professionale ai tuoi visitatori.
Con due bagni a disposizione e una posizione strategica, questo locale rappresenta un'opportunità unica per chi desidera stabilire o espandere la propria attività in una zona di grande passaggio e prestigio. Non perdere l'occasione di visitarlo e scoprire tutte le sue potenzialità.

Per qualsiasi informazione o per fissare un appuntamento contattare LINEA CASA STUDIO SCIUTI allo zero nove uno 6264519
Caratteristiche principali
Codice
986/S
Città
Palermo (Notarbartolo)
Categoria
Negozio
Prezzo
4.500 €
Spese condominiali
3.120 € / anno
Locali
1
Mq
250
Classe energetica
D
Stato Immobile
Buono
Grado
Signorile
Posizione
Centro
Panorama
Vista Aperta
Lati Liberi
2
Arredi
Non Arredato
Riscaldamento
No
Tipo Riscaldam.
Pompa di Calore
Tipo Impianto
Aria
Fonte Energetica
Elettrico
Acqua Calda
Autonoma
Raffrescamento
Split
Infissi
Alluminio Doppio Vetro
Serramenti
Buono
Persiana
Personalizzato
Pavimento
Linoleum
Cauzione
Due Mesi
Canoni Anticipati
Un Mese
Tipo Contratto
6+6 Anni
Numero Vetrine
Due
Accesso Disabili
Nessuna Barriera
Accesso interno disabili
Pieno accesso
Tipo Registr.
Tradizionale
Isolamento
Non presente
Isolamento acustico
Nessuno
Impianto d’irrigazione
No
VMC
No

Accessori: Antifurto, Aria Condizionata, Cassaforte, Doppi Vetri, Fibra Ottica, Portineria/Custode, Rete Dati, Ripostiglio, Video Sorveglianza

Mappa
via Emanuele Notarbartolo , Palermo (PA)
Condividi su
Cookie preference